For more information regarding the value of a property, please contact us for a free consultation.
Key Details
Property Type Vacant Land
Sub Type Residential
Listing Status Sold
Purchase Type For Sale
Subdivision Crimson Ranch Estates
MLS Listing ID 2113695
Sold Date 11/10/25
HOA Y/N No
Annual Tax Amount $4,477
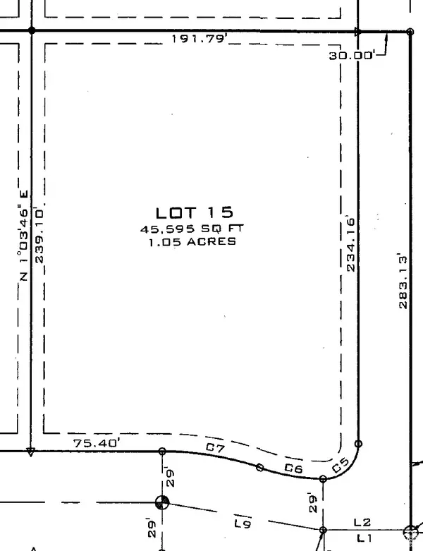
Lot Size 1.050 Acres
Acres 1.05
Lot Dimensions 0.0x0.0x0.0
Property Sub-Type Residential
Property Description
South facing 1 acre corner lot in Crimson Ranch Estates, home to three parade homes in the past two years, offering Pine Valley Mountain views to the northeast-east. This is a flat, engineer-tested lot with the freedom of no HOA, low-cost Dixie Power, and secondary water meter availability. Bring your own builder, or work with one of our preferred builders who has a Parade of Homesworthy plan complete with stunning curb appeal, curated interiors, budgets, and even an appraisal. With no required build timeline, you can start building your dream home now or plan at your own pace. All information is deemed reliable but not guaranteed, buyer to verify all.
Location
State UT
County Washington
Area St. George; Bloomington
Zoning Single-Family
Interior
Fireplace false
Exterior
Utilities Available Sewer: Public, Gas: Stubbed, Power: Stubbed, Sewer: Stubbed
View Y/N Yes
Present Use Residential
Topography Terrain: Flat
Private Pool false
Building
Lot Description Corner Lot, Curb & Gutter, Sidewalks, Terrain: Flat
Faces South
Sewer Sewer: Public
New Construction No
Schools
Elementary Schools Crimson View
Middle Schools Crimson Cliffs Middle
School District Washington
Others
Senior Community No
Tax ID SG-CRM-2-15
Acceptable Financing Cash, Conventional
Horse Property No
Listing Terms Cash, Conventional
Financing Conventional
Read Less Info
Want to know what your home might be worth? Contact us for a FREE valuation!

Our team is ready to help you sell your home for the highest possible price ASAP
Bought with NON-MLS
GET MORE INFORMATION




